Acasă Extern Melissa devine uragan de categoria a cincea. Avertizări de furtuni și inundații...

Melissa devine uragan de categoria a cincea. Avertizări de furtuni și inundații catastrofale pentru Jamaica și Cuba

0

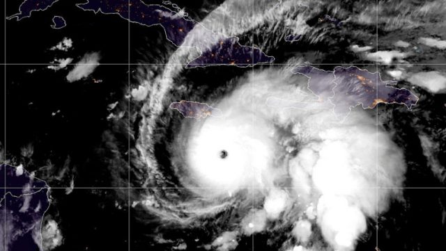
Uraganul Melissa a crescut în intensitate până la categoria a 5-a, maximă, ameninţând Jamaica, pe parcursul zilei şi al nopţii, cu vânturi distructive, valuri de furtună şi inundaţii catastrofale, a anunţat luni Centrul Naţional pentru Uragane (NHC) din Statele Unite.

Melissa se afla la aproximativ 505 kilometri sud-sud-vest de Guantanamo, Cuba, uraganul fiind însoţit de vânturi maxime, susţinute, de 260 km/h, a indicat NHC, transmite Reuters, scrie Agerpres.

„Se aşteaptă o întoarcere lentă spre nord-vest şi nord, astăzi şi în această noapte, urmată de o accelerare spre nord-est, începând de marţi, cel puţin până joi”, potrivit NHC.

! Acest articol este proprietatea SafeNews.md și este protejat de legea drepturilor de autor. Orice preluare a conținutului se poate face DOAR în limită maximă de 1000 de semne. În mod OBLIGATORIU cu indicarea în TITLU a sursei citate, iar în text cu LINK ACTIV către pagina acestui articol. Preluarea integrală se poate realiza doar în condițiile unui ACORD prealabil întocmit cu redacția portalului.

LĂSAȚI UN MESAJ

Vă rugăm să introduceți comentariul dvs.!
Introduceți aici numele dvs.